扫描到手机
扫描到手机 新闻随时看
扫一扫,用手机看文本
更加方便分享给朋友
近日,《关于聊城创悦置业开发有限公司变更柳园路壹號院项目建设工程规划许可证的许可前公告》在聊城市行政审批服务局网站公布,因优化建设工程设计方案和外立面变更,向聊城市行政审批服务局申请变更柳园路壹號院建设工程规划许可证地块位于柳园路以东、小东关街以南,规划用地性质为城镇住宅用地。

2026年1月29日,山东创悦置业有限公司因优化建设工程设计方案和外立面变更,向我局申请变更柳园路壹號院建设工程规划许可证。该项目地址位于柳园路以东、小东关街以南,用地性质为城镇住宅用地。
根据《中华人民共和国城乡规划法》、《中华人民共和国行政许可法》等法律法规的规定,我局受理后,经审查,拟许可其申请,现依法进行许可前公告。公告地点:市审批局公示栏、市审批局网站、项目现场。公示期不少于7个工作日,自2026年2月4日至2月12日。
申请人、利害相关人可在上述公示期内,持营业执照、身份证、不动产权证书或房屋买卖合同等有效证件、资料,对我局拟许可事项提出陈述、申辩意见和主动申请听证。
联系科室:工程建设审批一科
联系地址:昌润路153号
联系电话:0635-8903717
聊城市行政审批服务局
2026年2月3日
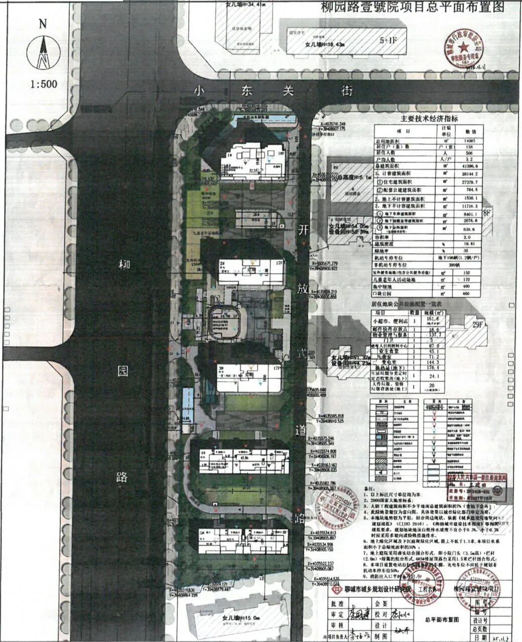
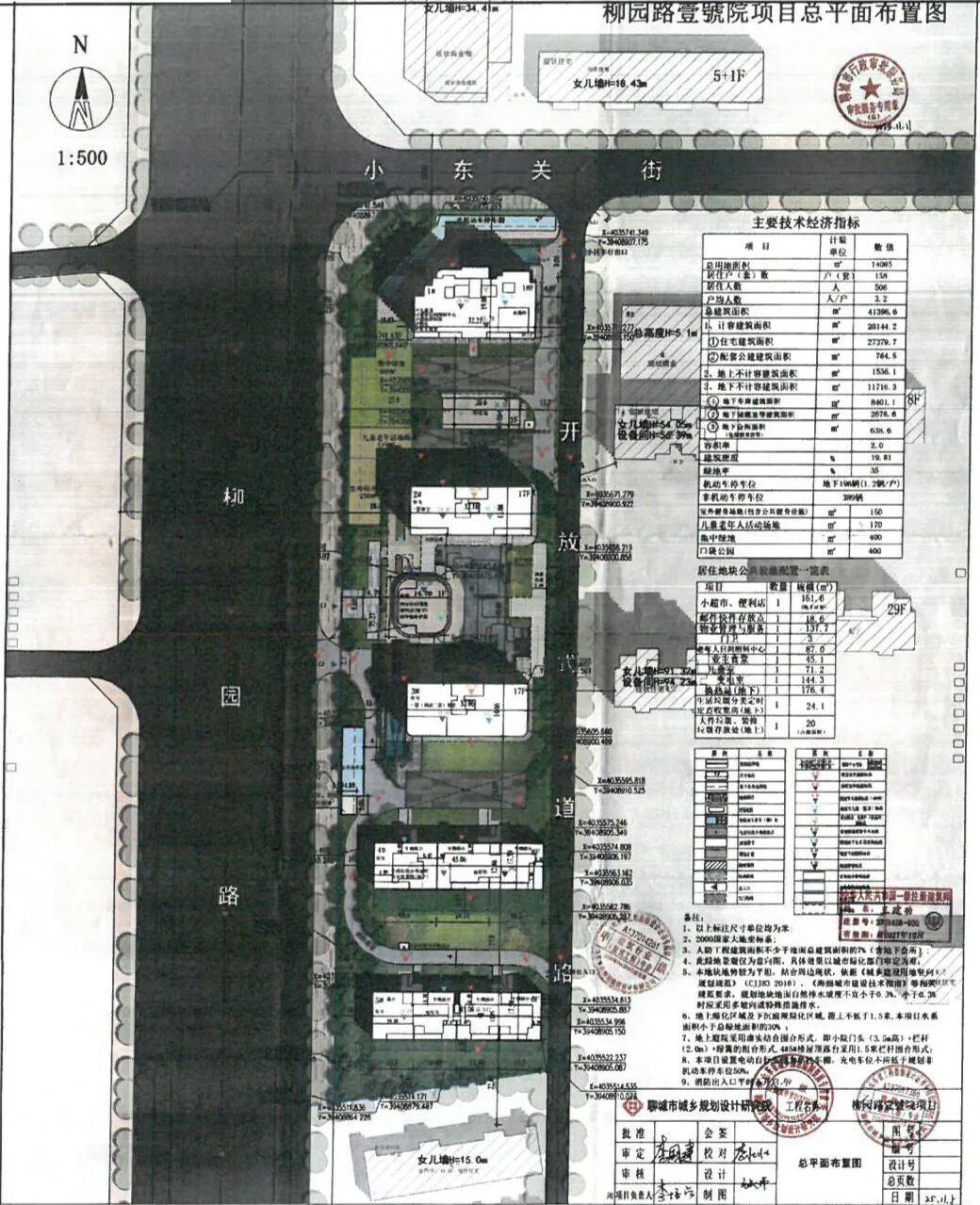
总平面布置图

效果图

单体透视图

地块信息:
地块位置:柳园路以东、小东关街以南
土地面积:14085㎡
土地性质:城镇住宅用地
容积率:1.6≤R≤2
起拍价:12677万元
起拍单价:600.02万/亩
起拍楼面价:4500.18元/㎡
成交价:16177万元
成交单价:765.68万/亩
成交楼面价:5742.63元/㎡
溢价率:27.61%
拿地房企:山东和悦地产有限公司

2024-71# 地块位置优越,吸引了聊城本地6家房企参与竞拍,历经71轮加价,最终由山东和悦地产有限公司以16177万元的价格竞得。
2024-71# 地块位于闸口片区,西侧紧邻城市主干道柳园路,沿柳园路向北可至银座、百货大楼、新东方广场等;向南可达体育公园片区。教育配套方面,地块东侧紧邻河东小学,沿柳园路向南可至颐中外国语、文轩中学八中校区、聊城一中等,教育配套优势凸显。